安全評價機構安全評價工作業績表
評價項目基本情況 | ||||||||
項目名稱 | 曲靖龍恒商貿有限公司經營危險化學品安全現狀評價報告 | 合同編號 | DAAPQJ2024-23 | |||||
合同簽訂時間 | 2024年7月18日 | 評價行業 | 危險化學品 | |||||
評價報告提交完成時間 | 2024.8.5 | 評價類別 | 安全現狀評價 | |||||
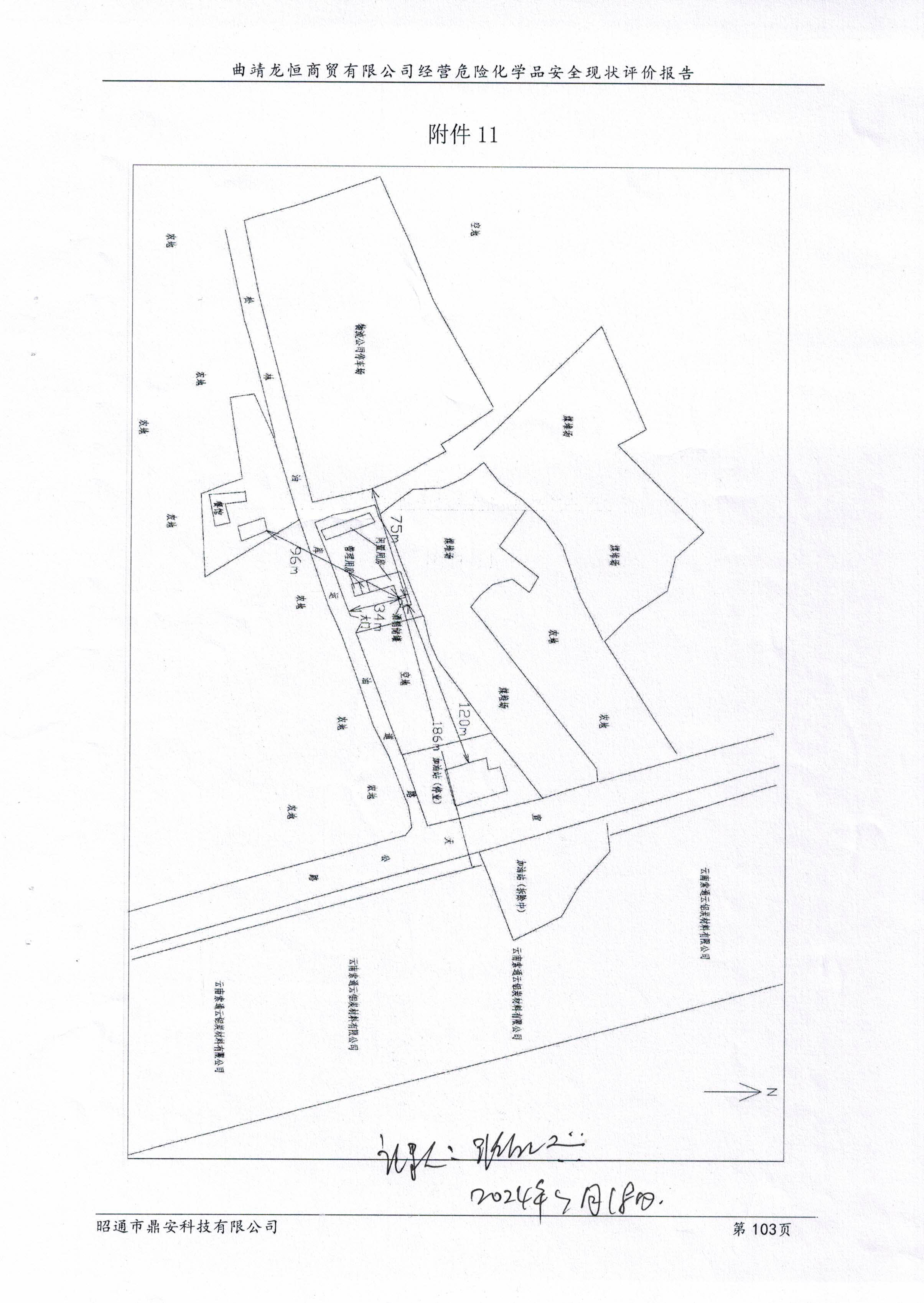
項目所屬地址 | 云南省曲靖市沾益區花山街道松林社區松林油庫岔路口 | |||||||
評價人員 | ||||||||
項目負責人 | 張紅興 | 評價組長 | 張紅興 | 技術專家 | ||||
評價報告編制人 | 張紅興 | 評價組成員 | 向榮鼎、毛衛旭、崔巍、陸朝春 | |||||
現場勘查情況 | ||||||||
現場勘查開始時間 | 2024年7月18日 | 現場勘查結束時間 | 2024年7月18日 | |||||
現場勘查人 | 張紅興、崔巍 | 業主陪同人 | 鄒生龍 | |||||
現場勘查情況 | 無人機航拍公司及周邊平面照片,查看乙醇儲罐周邊環境,查看卸車區、罐區、液位計、分裝區現場情況,查看安全管理資料。 | |||||||
報告審核情況 | ||||||||
內審 | 內審意見(√ 通過 口 不通過 ) √是 口 否 | |||||||
過程控制審核 | 內審意見(√ 通過 口 不通過 ) √ 是 口 否 | |||||||
技術負責人審核 | 內審意見(√ 通過 口 不通過 ) √是 口 否 | |||||||
隱患: 1)現場部分安全標識牌老化; 2)防雷檢測報告超期; 3)安全責任險超期。 | ||||||||
整改措施建議: 1)更換現場老化的安全標識牌; 2)重新進行防雷檢測; 3)重新購買安全責任險。 | ||||||||
評價結論為:依據《中華人民共和國安全生產法》、《危險化學品安全管理條例》、《危險化學品經營許可證管理辦法》、《危險化學品經營企業安全技術基本要求》(GB18265-2019)、《易燃易爆性商品儲存養護技術條件》(GB17914-2013)、《建筑防火通用規范》(GB55037-2022)等法規、標準,從安全的角度曲靖龍恒商貿有限公司達到危險化學品經營的要求,具備安全經營條件。 | ||||||||
03版-曲靖龍恒商貿有限公司現狀報告(饒工李工內審修改稿).pdf